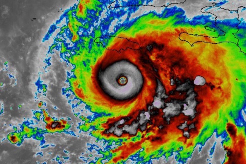
“I am speechless at how chilling these images are.” With those words, the meteorologist behind Backpirch Weather described what all the experts think seeing how Melissa reached 233 km/h and 941 mbar. That is, seeing live and direct, how “the hurricane reached an almost perfect symmetry 185 kilometers south-southwest of Kingston” (Jamaica).
Above all, because (according to the National Hurricane Center) it is a matter of time before it reaches category 5 and, right after, provoke on the island “damage with little or no precedent.”
A worrying trend. Melissa has been on the radar of everyone who monitors the hurricane corridor for days now. In fact, he had begun to attract attention for something curious: It was moving extremely slowly.. Now, Melissa moves at about seven kilometers per hour, but during these days she has reached three.
This fits with research in recent years that suggests that the speed of hurricanes has been decreasing. And that decrease is important because “a slower-moving storm generally means more flooding and potentially more storm surge.”
But Melissa wants to be more than just a trend. Because, how they explained MeteoredHurricane Melissa “has undergone explosive intensification and could reach Category 5 before making landfall in Jamaica.” 12 hours were enough. And things are going to get more serious: “the European model anticipates rains of more than 500 mm in eastern Jamaica, southwest Haiti and eastern regions of Cuba.”
It is true that, As Michael Lowry pointed out“if Melissa has demonstrated anything today, it is the difficulty of predicting intensity fluctuations when hurricanes peak”; but, as he hastened to add, “in any case, the mighty Melissa stands firm.” What’s more, the videos that arrive are creepy.
What is to come. As explained Álvaro OliverMelissa “has category 4 and it is not unusual for it to even reach 5, with winds exceeding 250 km/h.” But the peculiar thing will be what we said, its “very slow movement.” That could trigger the rains and cause a “great devastation in the next three days.”
In Cuba They will displace almost a million peoplebut the Jamaicans don’t have much of an escape. And it is that, precisely that, that can trigger a disaster in slow motion.
The next few days are going to be key not only to save hundreds of people; but also to understand why the Caribbean is becoming a death trap.
Image | CIMSS (via Alvaro Oliver)

GIPHY App Key not set. Please check settings